KINGSTON, Jamaica --Heavy floodwaters swept across southwestern Jamaica, winds tore roofs off buildings and boulders tumbled onto roads Tuesday as Hurricane Melissa came ashore as a catastrophic Category 5 storm, one of the strongest Atlantic hurricanes on record.
Landslides, fallen trees and numerous power outages were reported as Melissa hit with 185 mph (295 kph) winds near New Hope, with officials cautioning that the cleanup and damage assessment could be slow.
“There is no infrastructure in the region that can withstand a Category 5,” Prime Minister Andrew Holness said. “The question now is the speed of recovery. That’s the challenge.”
Floodwaters trapped at least three families in their homes in the community of Black River in western Jamaica, and crews were unable to help them because of dangerous conditions, said Desmond McKenzie, deputy chairman of Jamaica’s Disaster Risk Management Council.
“Roofs were flying off,” he said. “We are hoping and praying that the situation will ease so that some attempt can be made to get to those persons.”
He noted that extensive damage was reported in the southwestern parish of St. Elizabeth, which he said “is underwater.”
McKenzie said there are no confirmed reports of deaths and stressed that it was too early to talk about the extent of the damage because the hurricane -- the strongest to hit the island since recordkeeping began 174 years ago -- was still pummeling the country.
Rohan Brown, with Jamaica’s Meteorological Service, warned that as Melissa moves off the coast, its counterclockwise rotation would bring a heavy storm surge to northern Jamaica through the night. The storm is headed toward Cuba, where it was expected to make landfall as a major hurricane early Wednesday.
Nearly 15,000 people were in shelters in Jamaica and some 540,000 customers, or 77%, were without power, officials said.
Jamaican officials had warned against going outside during Hurricane Melissa, but curiosity got the better of a few Jamaican teens who had never experienced the wrath of a Category 5 system.
“When the wind howls, it feels as if the world is falling apart,” 15-year-old Gavin Fuller said with a grin. “I wanted to know what it feels like to stand in the eye of something so powerful.”
Colin Bogle, a Mercy Corps adviser, said most families were sheltering in place despite the government ordering evacuations in flood-prone communities. He was sheltering with his grandmother in Portmore, where everything went dark after a loud explosion.
“The noise is relentless,” he said. “People are anxious and just trying to hold on until the storm passes.”

Jamaica prepares for the aftermath of a record storm
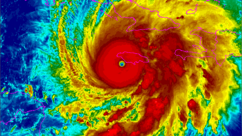
On Tuesday night, Melissa had top sustained winds of 125 mph (205 kph) and was moving north-northeast at 8 mph (13 kph) as its center moved into the Caribbean Sea, according to the U.S. National Hurricane Center in Miami. The hurricane was centered about 50 miles (80 kilometres) east-northeast of Montego Bay, Jamaica, and about 160 miles (260 kilometres) southwest of Guantanamo, Cuba.
Its 185 mph (295 kph) winds and 892 millibars of central pressure tied two records for the strongest Atlantic storm at landfall. The pressure -- the key measurement meteorologists use -- tied 1935’s Labor Day hurricane in Florida. The wind speed tied the 1935 hurricane and 2019’s Hurricane Dorian, said hurricane scientists Phil Klotzbach of Colorado State University and Brian McNoldy of the University of Miami.
“It’s been a remarkable, just a beast of a storm,” Klotzbach told The Associated Press.
With a life-threatening storm surge of up to 13 feet (4 metres) expected, officials were concerned about hospitals along the coast. McKenzie said four main hospitals were damaged, with the storm knocking out power to one of them, forcing officials to evacuate 75 patients.
One man called a radio station saying he urgently needed to help a woman in western Jamaica who had gone into labor as the storm neared landfall. The show’s host pleaded with listeners to let him know the safest hospital before an obstetrician called in to provide detailed directions on how to deliver a baby, if necessary.
In Kingston, officials warned residents of the surrounding area to watch out for crocodiles that might be displaced from their habitats by flooding.
McKenzie said the government was prepared for rescues immediately after the storm passes through: “We have boats, helicopters, you name it.”
The storm already was blamed for seven deaths in the Caribbean, including three in Jamaica, three in Haiti and one in the Dominican Republic, where another person remains missing.
Tuesday evening, officials huddled in meetings to determine how best to clear the debris after the storm and launch the distribution of emergency relief supplies to avoid bottlenecks at Jamaica’s ports, said Richard Thompson, acting general director for Jamaica’s emergency management office.
Officials have said they hope to reopen the island’s airports by Thursday.

U.N. agencies and dozens of nonprofits had food, medicine and other essential supplies positioned as they awaited a distribution rush after the storm.
Melissa takes aim at Cuba
Melissa was expected to make landfall in eastern Cuba early Wednesday. Up to 20 inches (51 centimetres) of rain was forecast in areas, along with a significant storm surge along the coast.
In a televised address to the nation Tuesday, Cuban President Miguel Diaz-Canel urged the population to not underestimate the power of the storm, “the strongest ever to hit national territory.”
In the eastern province of Santiago de Cuba, people streamed into the home of 83-year-old Eduviges Figueroa at the foot of the Sierra Maestra mountains to seek shelter after fleeing their homes in remote areas by bus, truck and even horse-drawn carts.
“We’re helping as best we can,” she said. “Now I’m cooking for everyone.”
People in Santiago de Cuba, the island’s second-largest city with more than 1 million inhabitants, spent Tuesday frantically preparing. Few people were on the streets, while state television showed Cubans in rural areas rounding up animals and protecting crops.
Diamon Mendoza, 36, did not hide her concern about the unavoidable storm.
“May God have mercy on us, because it’s coming with a lot of strength,” Mendoza said. “Anything can happen.”
Authorities in eastern Holguin province prepared to evacuate more than 200,000 people Tuesday and evacuated a similar number of people earlier from the town of Banes.
Reports on social media and state television showed blue and white buses ferrying evacuees to shelter early Tuesday. Families clutched babies and belongings and elderly people steadied themselves with canes as they disembarked.
By John Myers Jr. And Danica Coto
Coto reported from San Juan, Puerto Rico. Associated Press writers Geir Moulson in Berlin and Andrea Rodriguez in Havana contributed to this report.









