Hurricane Melissa devastates parts of Jamaica and Cuba
Hurricane Melissa made landfall Tuesday. The Category 5 storm has since killed dozens of people in Jamaica, Cuba and Haiti while damaging infrastructure and causing widespread power outages.
Updated:
Published:
Image 0 of 59
Passengers check in at the Norman Manley International Airport in Kingston, Jamaica, Saturday, Nov. 1, 2025, in the aftermath of Hurricane Melissa. (AP Photo/Matias Delacroix)
Humanitarian aid sits on the tarmac at the Norman Manley International Airport in Kingston, Jamaica, Saturday, Nov. 1, 2025, in the aftermath of Hurricane Melissa. (AP Photo/Matias Delacroix)
An aerial view of Falmouth, Jamaica, Friday, Oct. 31, 2025, in the aftermath of Hurricane Melissa. (AP Photo/Matias Delacroix)
The stadium in Montego Bay, Jamaica, is flooded Friday, Oct. 31, 2025, in the aftermath of Hurricane Melissa. (AP Photo/Matias Delacroix)
People line up for fuel in Montego Bay, Jamaica, Friday, Oct. 31, 2025, in the aftermath of Hurricane Melissa. (AP Photo/Matias Delacroix)
An aerial view of Black River, Jamaica, Thursday, Oct. 30, 2025, in the aftermath of Hurricane Melissa. (AP Photo/Matias Delacroix)
An aerial view of Black River, Jamaica, Thursday, Oct. 30, 2025, in the aftermath of Hurricane Melissa. (AP Photo/Matias Delacroix)
A man searches for cell signal from the roof of his house flooded and damaged by Hurricane Melissa in Black River, Jamaica, Thursday, Oct. 30, 2025. (AP Photo/Matias Delacroix)
Residents make their way past piles of debris in the aftermath of Hurricane Melissa in Black River, Jamaica, Thursday, Oct. 30, 2025. (AP Photo/Matias Delacroix)
Antony Anderson looks for salvageable items in the aftermath of Hurricane Melissa in Black River, Jamaica, Thursday, Oct. 30, 2025. (AP Photo/Matias Delacroix)
A man rests on a bicycle near destroyed houses in Black River, Jamaica, Thursday, Oct. 30, 2025, in the aftermath of Hurricane Melissa. (AP Photo/Matias Delacroix)
An aerial view of a damaged building in Black River, Jamaica, Thursday, Oct. 30, 2025, in the aftermath of Hurricane Melissa. (AP Photo/Matias Delacroix)
Residents gather amid debris in the aftermath of Hurricane Melissa on a street in Black River, Jamaica, Thursday, Oct. 30, 2025. (AP Photo/Matias Delacroix)
People walk along the shore in Boca de dos Rios, Cuba, Thursday, Oct. 30, 2025, after Hurricane Melissa passed through. (AP Photo/Ramon Espinosa)
Residents gather amid debris in Black River, Jamaica, Thursday, Oct. 30, 2025, in the aftermath of Hurricane Melissa. (AP Photo/Matias Delacroix)
People cross the Sevilla River in Chivirico, Cuba, after Hurricane Melissa passed through southern coast of Santiago de Cuba, Thursday, Oct. 30, 2025. (AP Photo/Ramón Espinosa)
People carry salvaged belongings in a horse-drawn cart through the ruins of houses destroyed by Hurricane Melissa in Boca de dos Rios, Cuba, Thursday, Oct. 30, 2025. (AP Photo/Ramón Espinosa)
Residents stand on the wreckage of a house destroyed by Hurricane Melissa in Santa Cruz, Jamaica, Wednesday, Oct. 29, 2025. (AP Photo/Matias Delacroix)
Residents dry belongings at a house damaged by Hurricane Melissa in Santa Cruz, Jamaica, Wednesday, Oct. 29, 2025.(AP Photo/Matias Delacroix)
People walk along a road after Hurricane Melissa passed through Spurr Tree, Jamaica, Wednesday, Oct. 29, 2025. (AP Photo/Matias Delacroix),
People walk through Santa Cruz, Jamaica, Wednesday, Oct. 29, 2025, after Hurricane Melissa passed. (AP Photo/Matias Delacroix),
Residents walk through Santa Cruz, Jamaica, Wednesday, Oct. 29, 2025, after Hurricane Melissa passed. (AP Photo/Matias Delacroix)
Parts of the roof of the St. Elizabeth Technical High School are missing in Santa Cruz, Jamaica, Wednesday, Oct. 29, 2025, after Hurricane Melissa passed. (AP Photo/Matias Delacroix)
People walk along a road during the passing of Hurricane Melissa in Rocky Point, Jamaica, Tuesday, Oct. 28, 2025. (AP Photo/Matias Delacroix)
Hurricane Melissa makes landfall in Jamaica, Tuesday, Oct. 28, 2025.
People walk along a road during the passing of Hurricane Melissa in Rocky Point, Jamaica, Tuesday, Oct. 28, 2025. (AP Photo/Matias Delacroix)
A soldier helps a woman evacuate before the arrival of Hurricane Melissa in Canizo, a community in Santiago de Cuba, Tuesday, Oct. 28, 2025. (AP Photo/Ramon Espinosa)
People walk under the rain before the arrival of Hurricane Melissa in Santiago de Cuba, Tuesday, Oct. 28, 2025. (AP Photo/Ramón Espinosa)
A woman carrying a mattress in the rain evacuates before the arrival of Hurricane Melissa in Cañizo, a community in Santiago de Cuba, Tuesday, Oct. 28, 2025. (AP Photo/Ramón Espinosa)
A couple rides under plastic on a donkey-pulled cart in the rain before the arrival of Hurricane Melissa in Canizo, a vilage in Santiago de Cuba, Tuesday, Oct. 28, 2025. (AP Photo/Ramón Espinosa)
A man walks in the rain before the arrival of Hurricane Melissa in Canizo, a village in Santiago de Cuba, Tuesday, Oct. 28, 2025. (AP Photo/Ramón Espinosa)
A man walks in the rain before the arrival of Hurricane Melissa in Canizo, a community in Santiago de Cuba, Tuesday, Oct. 28, 2025. (AP Photo/Ramón Espinosa)
Waves splash in Kingston, Jamaica, as Hurricane Melissa approaches, Tuesday, Oct. 28, 2025. (AP Photo/Matias Delacroix)
The eye of Hurricane Melissa is shown on Tuesday, Oct. 28, 2025. (Source: Hurricane Hunters)
The eye of Hurricane Melissa is shown on Tuesday, Oct. 28, 2025. (Source: Hurricane Hunters)
The eye of Hurricane Melissa is shown on Tuesday, Oct. 28, 2025. (Source: Hurricane Hunters)
Waves splash in Kingston, Jamaica, as Hurricane Melissa approaches, Tuesday, Oct. 28, 2025. (AP Photo/Matias Delacroix)
A couple jokes around on the coast in Kingston, Jamaica, as Hurricane Melissa approaches, Tuesday, Oct. 28, 2025. (AP Photo/Matias Delacroix)
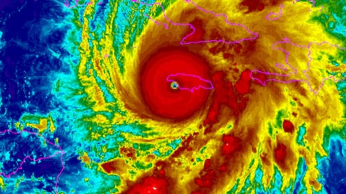
Hurricane Melissa is shown in this NOAA GOES East satellite image at 11:50 a.m. ET, Tuesday, Oct. 28, 2025. (National Oceanic and Atmospheric Administration)
A man walks along the coastline in Kingston, Jamaica, as Hurricane Melissa approaches, Tuesday, Oct. 28, 2025. (AP Photo/Matias Delacroix)
People walk in Kingston, Jamaica, as Hurricane Melissa approaches, Tuesday, Oct. 28, 2025. (AP Photo/Matias Delacroix)
Men remove a loose section of roof in Kingston, Jamaica, as Hurricane Melissa approaches, Tuesday, Oct. 28, 2025. (AP Photo/Matias Delacroix)
A man walks in Kingston, Jamaica, as Hurricane Melissa approaches, Tuesday, Oct. 28, 2025. (AP Photo/Matias Delacroix)
A man watches the coastline in Kingston, Jamaica, as Hurricane Melissa closes in, Tuesday, Oct. 28, 2025. (AP Photo/Matias Delacroix)
People take shelter at a school ahead of Hurricane Melissa's forecast arrival in Old Harbour, Jamaica, Monday, Oct. 27, 2025. (AP Photo/Matias Delacroix)
A woman video chats with a friend ahead of Hurricane Melissa's forecast arrival in Kingston, Jamaica, Monday, Oct. 27, 2025. (AP Photo/Matias Delacroix)
Cooks prepare meals at a shelter set up in a school ahead of Hurricane Melissa's forecast arrival in Old Harbour, Jamaica, Monday, Oct. 27, 2025. (AP Photo/Matias Delacroix)
A man wades through a flooded street ahead of the forecasted arrival of Hurricane Melissa in Old Harbour, Jamaica, Monday, Oct. 27, 2025. (AP Photo/Matias Delacroix)
A man walks along the coastline ahead of the forecasted arrival of Hurricane Melissa in Old Harbour, Jamaica, Monday, Oct. 27, 2025. (AP Photo/Matias Delacroix)
A fisherman ties boats in preparation for the forecasted arrival of Hurricane Melissa in Old Harbour, Jamaica, Monday, Oct. 27, 2025. (AP Photo/Matias Delacroix)
View of Montego Bay ahead of Hurricane Melissa's expected arrival in Jamaica, Saturday, Oct. 25, 2025. (AP Photo/Matias Delacroix)
Men cover the top of a food truck ahead of the forecast arrival of Hurricane Melissa in Kingston, Jamaica, Sunday, Oct. 26, 2025. (AP Photo/Matias Delacroix)
Fuel pumps are covered in plastic at a gas station ahead of the arrival of Hurricane Melissa in Kingston, Jamaica, Sunday, Oct. 26, 2025. (AP Photo/Matias Delacroix)
A man fortifies a roof ahead of the forecast arrival of Hurricane Melissa in Kingston, Jamaica, Sunday, Oct. 26, 2025. (AP Photo/Matias Delacroix)
People buy groceries ahead of the forecast arrival of Hurricane Melissa in Kingston, Jamaica, Sunday, Oct. 26, 2025. (AP Photo/Matias Delacroix)
Workers board up shop windows ahead of Hurricane Melissa's forecast arrival in Kingston, Jamaica, Sunday, Oct. 26, 2025. (AP Photo/Matias Delacroix)
A man holds his fishing rod ahead of the forecast arrival of Hurricane Melissa in Kingston, Jamaica, Sunday, Oct. 26, 2025. (AP Photo/Matias Delacroix)
A man rides a bicycle ahead of the forecast arrival of Hurricane Melissa in Kingston, Jamaica, Sunday, Oct. 26, 2025. (AP Photo/Matias Delacroix)
A woman strolls along the beach ahead of the forecast arrival of Hurricane Melissa in Kingston, Jamaica, Sunday, Oct. 26, 2025. (AP Photo/Matias Delacroix)